Ons kantoor is lid van Baerz & Co Luxury Homes; een internationaal platform dat exclusieve woningmakelaars met elkaar verbindt. Neem contact op met ons secretariaat voor meer informatie over het landelijke aanbod, waarvan u hieronder een selectie kunt bekijken.

NEEDE
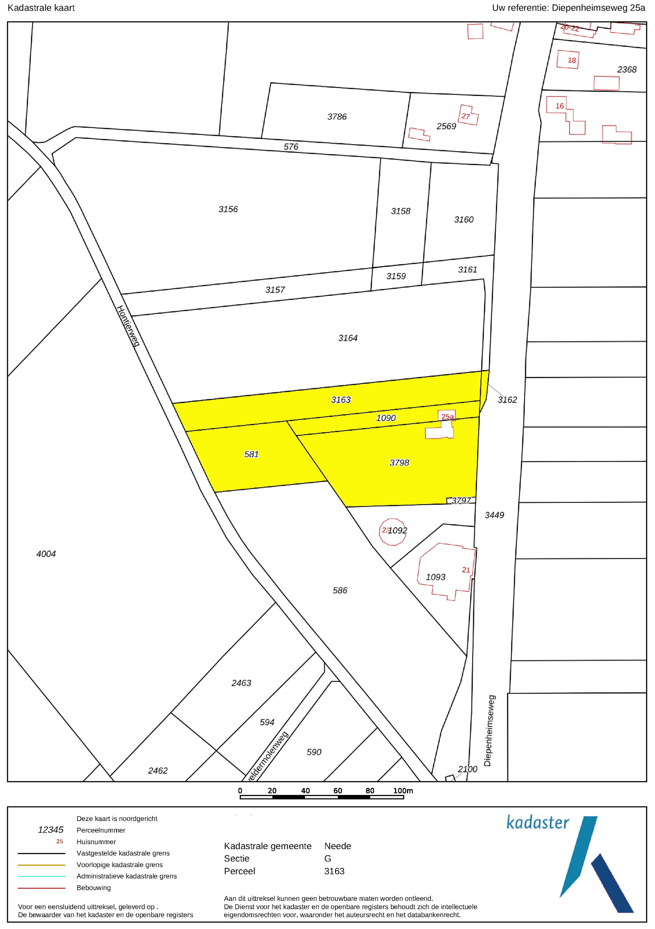
Diepenheimseweg 25 a - 7161 MH
Нидерланды

Marcel Schippers profile image
Marcel Schippers
Real Estate Agent
€1,495,000 k.k.
Жилая площадь
188m2
Размер участка
11781m2
Спальни
3

Описание

Усадьба Neede возвышается на уникальной точке — вершине холма Needse Berg, расположенной на высоте 36 метров над уровнем моря, открывая редкий панорамный обзор на 360° на меняющийся ландшафт. Недвижимость сочетает архитектурную выразительность с жилой площадью 188 м², тремя спальнями, обилием естественного света и продуманной планировкой в одном уровне. Усадьба Neede создаёт ощущение чистоты пространства и свободы, где в гармонии сливаются сад, небо и время года.

В основе характера объекта — уникальная связь с природой. Владение площадью 11 781 м² создано c заботой о биоразнообразии и визуальной гармонии: здесь раскинулись луга диких цветов, декоративные сады и огород, привлекающие широкий спектр птиц и диких животных. Обстановка умиротворённая, но наполнена жизнью, участок огорожен электронными воротами, есть просторная парковка, включая станцию зарядки и гараж с прямым въездом.

Внутри пространство впечатляет светом и масштабом, продуманными деталями: керамические полы с подогревом, кухонные шкафы из ореха, гранитная столешница. Главная гостиная выходит панорамными окнами и садом на горизонт, центрируют пространство полукруглый эркер и газовый камин. Открытая кухня смотрит в сторону пейзажа, из каждой спальни — свой, особый ракурс, включая хозяйскую с видом в сад и гардеробной. Класс энергоэффективности А обеспечивают комплексная теплоизоляция крыши, стен и пола, а также эффективная механическая вентиляция.

Возможности для последующей адаптации значительны: получено разрешение на строительство хозпостройки площадью 150 м². Адрес сочетает уединение сельской жизни с удобством доступности: центр Neede, очаровательный Diepenheim, культурные локации региона — совсем рядом, а города Enschede и Hengelo всего в двадцати минутах езды по трассе N18.

Эта усадьба в Neede — убежище для ценителей ботаники, орнитологии и ритмической тишины голландской провинции. Это предложение отличает особая деликатность и статус.

Исследуйте Neede вместе с Baerz — вашим надежным советником и личным поисковиком недвижимости

Специфика рынка Неде требует компетентных советников: знание правил охраны исторических объектов, доступ к предложениям вне открытого рынка и гарантированная конфиденциальность требуют глубокого понимания местности. Опытные посредники открывают клиентам эксклюзивные объекты, добиваются выгодных условий и обеспечивают спектр услуг по международным сделкам.

Избегайте распространённых ошибок

Международные покупатели часто тратят ценное время на изучение дублирующихся, устаревших или вводящих в заблуждение онлайн-объявлений, особенно учитывая, что почти 30% объектов элитной недвижимости вообще не появляются на открытом рынке.
Агенты продавца представляют интересы продавца, а не ваши, и даже простой запрос о недвижимости может привести к тому, что агентство зарегистрирует вас как своего “клиента” без вашего согласия.
С Baerz Property Finders & Advisors вы полностью избегаете этих подводных камней.
Мы действуем исключительно в ваших интересах, предоставляя независимое представительство, прозрачные рекомендации и доступ ко всем доступным объектам, включая частные и вне-рыночные предложения, которых другие никогда не увидят.

Хотите узнать, как получить собственного персонального консультанта по недвижимости? Свяжитесь с нами, чтобы узнать, как мы можем представлять ваши интересы и открыть вам весь рынок.

Особенности

Передача права собственности
Запрашиваемая цена
€ 1.495.000 k.k.
Статус
beschikbaar
Принятие
in overleg
Строительство
Тип дома
Landhuis
Тип здания
vrijstaande woning
Период строительства
2004
Энергетический рейтинг
A
Тип крыши
samengesteld dak
Спальни
3
Ванные комнаты
1
Площадь и объем
Жилая площадь
188 m2
Другое внутреннее пространство
95 m2
Внешнее пространство, прикрепленное к зданию
27 m2
Объем в кубических метрах
1050 m3
Размер участка
11781 m2
Удобства
Mechanische ventilatie
Vrij uitzicht
Open ligging
Buiten bebouwde kom
Landelijk gelegen
Baerz & Co Property Brochure

Брошюра

Видео

360 Панорамы

360°
360 Panorama - Diepenheimseweg 25 a
360°
360 Panorama - Diepenheimseweg 25 a
360°
360 Panorama - Diepenheimseweg 25 a
360°
360 Panorama - Diepenheimseweg 25 a

Планы этажей

de Haan Schippers Makelaars

Larenseweg 53
7241 CM Lochem

schippers@dehaanschippers.nl
+31 573 25 82 58

www.dehaanschippers.nl

Информация / Запрос на просмотр

Marcel Schippers profile image
Marcel Schippers
Real Estate Agent